 |
Gintautas
Tel. 868712813 Faks. 837383061
Adresas: Armaliðkiø g. 3H, Kaunas
Rašyti laišką pardavėjui
Svetainė: www.statyba.heraldija.lt |
Palildoma informacija apie sklypą
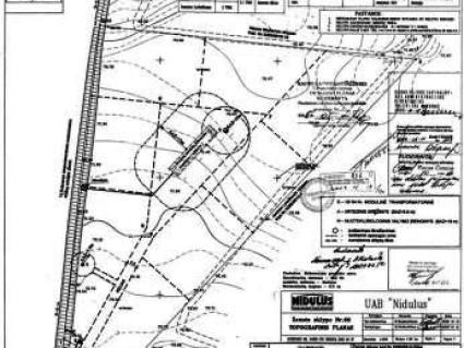
Girioniø regioninio parko pakraðtyje parduodamas þemës sklypas su patvirtintu specialiuoju planu ir pradëtu rengti detaliuoju planu. Graþi vietovë, geras privaþiavimas iki miesto centro apie 12 km. |